

SUBSCRIBE TO OUR FREE NEWSLETTER
Daily news & progressive opinion—funded by the people, not the corporations—delivered straight to your inbox.
5
#000000
#FFFFFF
To donate by check, phone, or other method, see our More Ways to Give page.


Daily news & progressive opinion—funded by the people, not the corporations—delivered straight to your inbox.

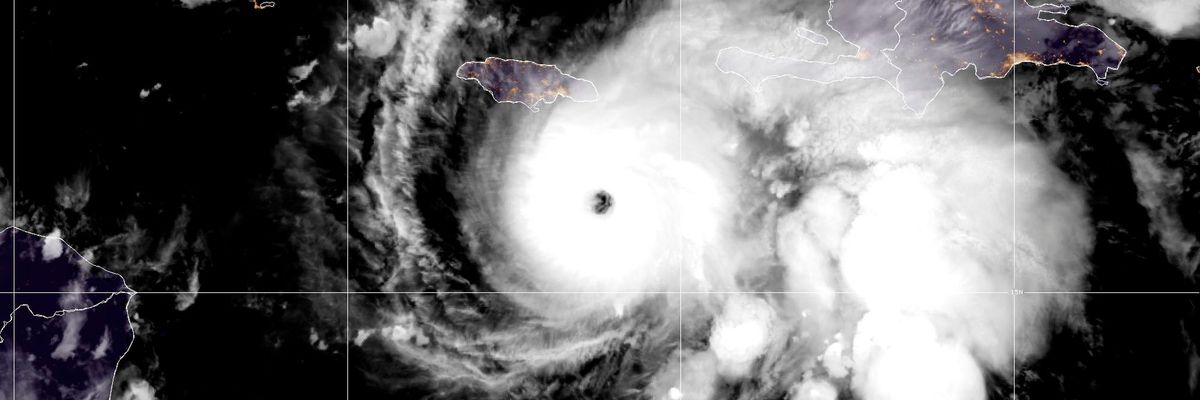
In this handout satellite image provided by the National Oceanic and Atmospheric Administration (NOAA) , Hurricane Melissa strengthens into a Category 4 storm as it churns northwest through the Caribbean Sea captured at 7:40Z on October 26, 2025. Later, Melissa intensified into a Category 5 hurricane as it approached Jamaica.
One hurricane historian said the world is "witnessing history on satellite right now" as the people of Jamaica came under evacuation orders and braced for impact of a storm that threatens severe flooding, landslides, and winds of over 200 mph.
The people of Jamaica are making emergency preparations on Monday as Hurricane Melissa intensified overnight, with meteorologists in awe of the scale and shape of the "monster" storm now bearing down on the island nation, already saturated from previous rains and bracing for what could be a major climate-related catastrophe.
In a 5:00 am EDT advisory on Monday, the US National Hurricane Center said Melissa is "now a Category 5 Hurricane" and warned of "destructive winds and storm surge and catastrophic flooding" that would worsen across Jamaica throughout the day and into the night. Landfall is expected Tuesday morning, with devastating consequences across the island nation.
The storm, reports the Weather Channel, "will be one of the most intense, devastating hurricanes on record in Jamaica, with widespread flooding, landslides, and destructive winds."
According to NBC News:
Some areas of eastern Jamaica could be inundated with up to 40 inches of rain, more than some areas of the country typically get in a year.
Wind speeds in mountainous areas could be 30% higher that the main storm, meaning potential winds of more than 200 mph.
With Cuba, Turks and Caicos, the Bahamas, and Haiti also within reach of the storm's impacts, governments across the region are ordering evacuations of the most vulnerable areas and preparing infrastructure for the rescue and recovery operations from the life-threatening destruction almost certain to be unleashed.
"Hurricane Melissa could be one of the most intense and devastating hurricanes on record for Jamaica," said Katharine Hayhoe, a professor of climate science, "and it's rapidly becoming a textbook example of how climate change is making hurricanes more dangerous: explosive intensification, slow movement, and massive rainfall."
In a Monday morning address to the nation, Prime Minister Andrew Holness urged "every Jamaican to prepare, stay indoors during the storm, and comply with evacuation orders. Check on your neighbours, especially the elderly and vulnerable, and continue to pray for our nation’s safety."
Hurricane Melissa has strengthened to a Category 5 system and is now approximately 100 miles south of Kingston, moving slowly westward.
Based on current projections, all of Jamaica is likely to experience hurricane-force winds, heavy rainfall, and flooding.
The Government has… pic.twitter.com/GUd0FxuCmD
— Andrew Holness (@AndrewHolnessJM) October 27, 2025
Melissa is now the third storm of the 2025 hurricane season to reach Category 5 status, the first time that has happened in the Atlantic since 2005, the year a devastating Hurricane Katrina struck communities along the US Gulf Coast.
Weather experts expressed alarm about the storm's size, power, and trajectory overnight.
Jordan Smith, a meteorologist with WJHG-TV in Panama City, Florida, said he was "absolutely speechless" after seeing the latest satellite images of the storm.
"This satellite image of Hurricane Melissa needs to be put in meteorology textbooks," exclaimed Smith. "Please, everyone, send all your prayers and thoughts to the island of Jamaica. Catastrophic impacts are expected on so many levels. Jamaica will be unrecognizable after this."
Michael Ferragamo, a hurricane historian, said the world is "witnessing history on satellite right now," just before Melissa officially hit Category 5 status.
In remarks to reporters on Sunday night, Desmond Mackenzie, Jamaica’s minister of local government and community development, warned that many Jamaican communities "will not survive" the flooding predicted for the island. McKenzie said all citizens, residents, and visitors to the island should follow the instructions of the government and emergency officials.
“This is not the time for people to become complacent. I believe that we have been giving Jamaicans adequate notice,” he said. “I can only urge Jamaicans to heed the warnings."
Dear Common Dreams reader, The U.S. is on a fast track to authoritarianism like nothing I've ever seen. Meanwhile, corporate news outlets are utterly capitulating to Trump, twisting their coverage to avoid drawing his ire while lining up to stuff cash in his pockets. That's why I believe that Common Dreams is doing the best and most consequential reporting that we've ever done. Our small but mighty team is a progressive reporting powerhouse, covering the news every day that the corporate media never will. Our mission has always been simple: To inform. To inspire. And to ignite change for the common good. Now here's the key piece that I want all our readers to understand: None of this would be possible without your financial support. That's not just some fundraising cliche. It's the absolute and literal truth. We don't accept corporate advertising and never will. We don't have a paywall because we don't think people should be blocked from critical news based on their ability to pay. Everything we do is funded by the donations of readers like you. Will you donate now to help power the nonprofit, independent reporting of Common Dreams? Thank you for being a vital member of our community. Together, we can keep independent journalism alive when it’s needed most. - Craig Brown, Co-founder |
The people of Jamaica are making emergency preparations on Monday as Hurricane Melissa intensified overnight, with meteorologists in awe of the scale and shape of the "monster" storm now bearing down on the island nation, already saturated from previous rains and bracing for what could be a major climate-related catastrophe.
In a 5:00 am EDT advisory on Monday, the US National Hurricane Center said Melissa is "now a Category 5 Hurricane" and warned of "destructive winds and storm surge and catastrophic flooding" that would worsen across Jamaica throughout the day and into the night. Landfall is expected Tuesday morning, with devastating consequences across the island nation.
The storm, reports the Weather Channel, "will be one of the most intense, devastating hurricanes on record in Jamaica, with widespread flooding, landslides, and destructive winds."
According to NBC News:
Some areas of eastern Jamaica could be inundated with up to 40 inches of rain, more than some areas of the country typically get in a year.
Wind speeds in mountainous areas could be 30% higher that the main storm, meaning potential winds of more than 200 mph.
With Cuba, Turks and Caicos, the Bahamas, and Haiti also within reach of the storm's impacts, governments across the region are ordering evacuations of the most vulnerable areas and preparing infrastructure for the rescue and recovery operations from the life-threatening destruction almost certain to be unleashed.
"Hurricane Melissa could be one of the most intense and devastating hurricanes on record for Jamaica," said Katharine Hayhoe, a professor of climate science, "and it's rapidly becoming a textbook example of how climate change is making hurricanes more dangerous: explosive intensification, slow movement, and massive rainfall."
In a Monday morning address to the nation, Prime Minister Andrew Holness urged "every Jamaican to prepare, stay indoors during the storm, and comply with evacuation orders. Check on your neighbours, especially the elderly and vulnerable, and continue to pray for our nation’s safety."
Hurricane Melissa has strengthened to a Category 5 system and is now approximately 100 miles south of Kingston, moving slowly westward.
Based on current projections, all of Jamaica is likely to experience hurricane-force winds, heavy rainfall, and flooding.
The Government has… pic.twitter.com/GUd0FxuCmD
— Andrew Holness (@AndrewHolnessJM) October 27, 2025
Melissa is now the third storm of the 2025 hurricane season to reach Category 5 status, the first time that has happened in the Atlantic since 2005, the year a devastating Hurricane Katrina struck communities along the US Gulf Coast.
Weather experts expressed alarm about the storm's size, power, and trajectory overnight.
Jordan Smith, a meteorologist with WJHG-TV in Panama City, Florida, said he was "absolutely speechless" after seeing the latest satellite images of the storm.
"This satellite image of Hurricane Melissa needs to be put in meteorology textbooks," exclaimed Smith. "Please, everyone, send all your prayers and thoughts to the island of Jamaica. Catastrophic impacts are expected on so many levels. Jamaica will be unrecognizable after this."
Michael Ferragamo, a hurricane historian, said the world is "witnessing history on satellite right now," just before Melissa officially hit Category 5 status.
In remarks to reporters on Sunday night, Desmond Mackenzie, Jamaica’s minister of local government and community development, warned that many Jamaican communities "will not survive" the flooding predicted for the island. McKenzie said all citizens, residents, and visitors to the island should follow the instructions of the government and emergency officials.
“This is not the time for people to become complacent. I believe that we have been giving Jamaicans adequate notice,” he said. “I can only urge Jamaicans to heed the warnings."
The people of Jamaica are making emergency preparations on Monday as Hurricane Melissa intensified overnight, with meteorologists in awe of the scale and shape of the "monster" storm now bearing down on the island nation, already saturated from previous rains and bracing for what could be a major climate-related catastrophe.
In a 5:00 am EDT advisory on Monday, the US National Hurricane Center said Melissa is "now a Category 5 Hurricane" and warned of "destructive winds and storm surge and catastrophic flooding" that would worsen across Jamaica throughout the day and into the night. Landfall is expected Tuesday morning, with devastating consequences across the island nation.
The storm, reports the Weather Channel, "will be one of the most intense, devastating hurricanes on record in Jamaica, with widespread flooding, landslides, and destructive winds."
According to NBC News:
Some areas of eastern Jamaica could be inundated with up to 40 inches of rain, more than some areas of the country typically get in a year.
Wind speeds in mountainous areas could be 30% higher that the main storm, meaning potential winds of more than 200 mph.
With Cuba, Turks and Caicos, the Bahamas, and Haiti also within reach of the storm's impacts, governments across the region are ordering evacuations of the most vulnerable areas and preparing infrastructure for the rescue and recovery operations from the life-threatening destruction almost certain to be unleashed.
"Hurricane Melissa could be one of the most intense and devastating hurricanes on record for Jamaica," said Katharine Hayhoe, a professor of climate science, "and it's rapidly becoming a textbook example of how climate change is making hurricanes more dangerous: explosive intensification, slow movement, and massive rainfall."
In a Monday morning address to the nation, Prime Minister Andrew Holness urged "every Jamaican to prepare, stay indoors during the storm, and comply with evacuation orders. Check on your neighbours, especially the elderly and vulnerable, and continue to pray for our nation’s safety."
Hurricane Melissa has strengthened to a Category 5 system and is now approximately 100 miles south of Kingston, moving slowly westward.
Based on current projections, all of Jamaica is likely to experience hurricane-force winds, heavy rainfall, and flooding.
The Government has… pic.twitter.com/GUd0FxuCmD
— Andrew Holness (@AndrewHolnessJM) October 27, 2025
Melissa is now the third storm of the 2025 hurricane season to reach Category 5 status, the first time that has happened in the Atlantic since 2005, the year a devastating Hurricane Katrina struck communities along the US Gulf Coast.
Weather experts expressed alarm about the storm's size, power, and trajectory overnight.
Jordan Smith, a meteorologist with WJHG-TV in Panama City, Florida, said he was "absolutely speechless" after seeing the latest satellite images of the storm.
"This satellite image of Hurricane Melissa needs to be put in meteorology textbooks," exclaimed Smith. "Please, everyone, send all your prayers and thoughts to the island of Jamaica. Catastrophic impacts are expected on so many levels. Jamaica will be unrecognizable after this."
Michael Ferragamo, a hurricane historian, said the world is "witnessing history on satellite right now," just before Melissa officially hit Category 5 status.
In remarks to reporters on Sunday night, Desmond Mackenzie, Jamaica’s minister of local government and community development, warned that many Jamaican communities "will not survive" the flooding predicted for the island. McKenzie said all citizens, residents, and visitors to the island should follow the instructions of the government and emergency officials.
“This is not the time for people to become complacent. I believe that we have been giving Jamaicans adequate notice,” he said. “I can only urge Jamaicans to heed the warnings."