
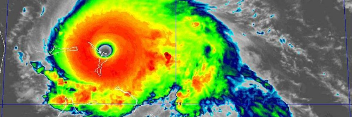
Hurricane Dorian made landfall in the Bahamas as a category 5 storm on Sunday, Sept. 1. (Image: NOAA via National Hurricane Center/Twitter)
'Historic, Catastrophic' Category 5 Hurricane Dorian Hits Bahamas, Still Threatens Southeast US Coast
As footage of the devastation began to emerge online, one expert warned that "if we continue to increase our emissions of greenhouse gasses, these kind of damages will also increase."
The "historic, catastrophic" category 5 Hurricane Dorian hit the Bahamas Sunday--eliciting a slew of urgent public safety warnings, concerns about what's in store for the Southeastern coast of the United States next week, and impassioned demands for ambitious government action to combat the global climate emergency.
Dorian made landfall at Elbow Cay, Abacos in the Bahamas early Sunday afternoon with maximum sustained winds of 185 mph and gusts over 220 mph, according to the U.S. National Hurricane Center. The eye of the hurricane made a second landfall on Great Abaco Island near Marsh Harbor later in the afternoon, with the same sustained windspeed. The center noted in an update on Twitter that "this is tied for the strongest Atlantic hurricane landfall on record with the 1935 Labor Day hurricane."
Acknowledging Dorian's significant windspeed Sunday, meteorologist and science writer Eric Holthaus tweeted, "This is a historic hurricane, and the damage in the Bahamas will be absolute."
\u201cHurricane #Dorian is now tied with the 1935 Labor Day hurricane for the strongest landfall (by windspeed) in Atlantic basin history.\n\nThis is a historic hurricane, and the damage in the Bahamas will be absolute.\u201d— Eric Holthaus (@Eric Holthaus) 1567360483
In a series of tweets Sunday, Bill McKibben, co-founder of the environmental advocacy group 350.org, pointed out that this is the fourth consecutive year that the Atlantic has seen a category 5 hurricane and wrote that "people are going to need to rally to the relief of what must be devastated islands."
\u201c#Dorian is now one of the five strongest storms ever recorded in the Atlantic. And it's the 4th year in a row with a Category 5 storm, again breaking a record. #hotnewworld\nhttps://t.co/EBqhE28vNO\u201d— Bill McKibben (@Bill McKibben) 1567354253
\u201cAs #Dorian crashed into the Bahamas, its winds were 185 mph gusting to 220 mph, making it the strongest landfalling Atlantic hurricane ever recorded. People are going to need to rally to the relief of what must be devastated islands\nhttps://t.co/liMq3gw0hO\u201d— Bill McKibben (@Bill McKibben) 1567361171
The Weather Channel, which McKibben cited, explained that "category 5 hurricanes are rare and have maximum sustained winds 157 mph or greater. They can unleash devastating winds and catastrophic storm surge when they strike land."
The National Hurricane Center continued to issue advisories about Dorian's severity for residents of the Bahamas throughout the afternoon Sunday. Warning of "storm surge 18 to 23 feet above normal tide levels with higher destructive wave," the center said in one update: "This is a life-threatening situation. Residents in the Abacos should stay in their shelter. Do not venture out into the eye if it passes over your location."
\u201cIMPORTANT: We have seen videos in the Abacos of people venturing out in the eye of #Dorian. Everyone should take shelter immediately as winds will increase rapidly and unpredictably after the eye passes.\u201d— National Hurricane Center (@National Hurricane Center) 1567361772
Videos of conditions in the Bahamas began circulating online Sunday afternoon--along with warnings from experts that such devastation from natural disasters will continue to worsen as long as humanity continues to fuel the global climate crisis with activities that produce planet-heating emissions:
\u201c\ud83c\udf2a \n\nFirst videos coming in from Bahamas after Dorian passed through and it's complete devastation.\n\nIf we continue to increase our emissions of greenhouse gasses, these kind of damages will also increase.\n\n#HurricaneDorian #Dorian #bahamas @WPLGLocal10 \n\nhttps://t.co/OYxo4pNeNX\u201d— Alexander Verbeek \ud83c\udf0d (@Alexander Verbeek \ud83c\udf0d) 1567367687
\u201c#Dorian is near perfect from a meteorological perspective, horrific from a threat perspective. And undoubtedly fueled by bathtub-warm sea surface temperatures tied to human-caused climate change.\u201d— Prof Michael E. Mann (@Prof Michael E. Mann) 1567362710
\u201cBACKGROUNDER: Dorian moved through very warm ocean waters (86\u00b0F/30\u00b0C) this week, meaning there was plenty of energy to fuel its intensification. Full climate change context here: https://t.co/u49EAFgxKs\u201d— Climate Signals (@Climate Signals) 1567360652
Bahamas "Prime Minister Hubert Minnis said Saturday that 73,000 residents and 21,000 homes would be affected by the storm," The New York Times reported.
Louby Georges, director of international affairs for Human Rights Bahamas, said people on Great Abaco Island, in the direct path of the eye, were growing desperate as the storm bore down on them.
"People are sending voice notes, people are crying," he said. "You can hear people hollering in the background."
He said the shelters on the island were full and that many poorer residents had taken refuge in churches in Marsh Harbour. But he was worried that the churches, which were not on official lists of shelters to receive food and water, may run out of supplies.
"My guy at St. Francis Church said there is no drinking water," Mr. Georges said in a telephone interview from Nassau, the capital. "There are no trained emergency personnel with them."
In an advisory Sunday afternoon, the National Hurricane Center said that on its current track, "the core of extremely dangerous Hurricane Dorian will continue to pound Great Abaco today and the move near or over Grand Bahama Island tonight and Monday. The hurricane should move closer to the Florida east coast late Monday through Tuesday night."
The Associated Press detailed "Hurricane Dorian's slow dance with the coast" of Florida in a report Sunday.
The National Hurricane Center forecasts Dorian to be 40 to 50 miles off the Florida coast on Tuesday and Wednesday, with hurricane-force wind speeds extending about 35 miles to the west.
But that's just one point that forecasters have to choose to place the monstrous storm that packed 185 mph winds on Sunday. It could be within 100 miles of that point, which is why the hurricane center uses--and emphasizes--a shaded cone of uncertainty.
And much of the Florida coast is inside that cone.
As the center's director, Ken Graham, told the AP, "The cone is so important." Graham explained that with each new forecast, "we keep nudging [Dorian's track] a little bit to the left," toward the U.S. coastline.
\u201cSeems that record-strong #HurricaneDorian's slow but potentially destructive dance with US coast will be cutting it so close that Florida's fate may come down to only a handful of miles. https://t.co/1qfUTLjLj9\u201d— @borenbears (@@borenbears) 1567362910
Early Sunday evening, the Miami-based National Hurricane Center issued its first hurricane warning and watch for Florida. The warning "covers an area from Jupiter Inlet to the Volusia/Brevard County line," while the watch covers "from Voluisa/Brevard Countyline to the Flagler-Volusia county line," according to the AP.
\u201cHURRICANE WARNING ISSUED: From Jupiter, Inlet Florida to the Brevard/Volusia County, Florida Line. HURRICANE WATCH ISSUED: For Volusia County. For more details see https://t.co/tW4KeFW0gB and refer to your local emergency management. #Dorian\u201d— National Hurricane Center (@National Hurricane Center) 1567371662
An Urgent Message From Our Co-Founder
Dear Common Dreams reader, The U.S. is on a fast track to authoritarianism like nothing I've ever seen. Meanwhile, corporate news outlets are utterly capitulating to Trump, twisting their coverage to avoid drawing his ire while lining up to stuff cash in his pockets. That's why I believe that Common Dreams is doing the best and most consequential reporting that we've ever done. Our small but mighty team is a progressive reporting powerhouse, covering the news every day that the corporate media never will. Our mission has always been simple: To inform. To inspire. And to ignite change for the common good. Now here's the key piece that I want all our readers to understand: None of this would be possible without your financial support. That's not just some fundraising cliche. It's the absolute and literal truth. We don't accept corporate advertising and never will. We don't have a paywall because we don't think people should be blocked from critical news based on their ability to pay. Everything we do is funded by the donations of readers like you. Will you donate now to help power the nonprofit, independent reporting of Common Dreams? Thank you for being a vital member of our community. Together, we can keep independent journalism alive when it’s needed most. - Craig Brown, Co-founder |
The "historic, catastrophic" category 5 Hurricane Dorian hit the Bahamas Sunday--eliciting a slew of urgent public safety warnings, concerns about what's in store for the Southeastern coast of the United States next week, and impassioned demands for ambitious government action to combat the global climate emergency.
Dorian made landfall at Elbow Cay, Abacos in the Bahamas early Sunday afternoon with maximum sustained winds of 185 mph and gusts over 220 mph, according to the U.S. National Hurricane Center. The eye of the hurricane made a second landfall on Great Abaco Island near Marsh Harbor later in the afternoon, with the same sustained windspeed. The center noted in an update on Twitter that "this is tied for the strongest Atlantic hurricane landfall on record with the 1935 Labor Day hurricane."
Acknowledging Dorian's significant windspeed Sunday, meteorologist and science writer Eric Holthaus tweeted, "This is a historic hurricane, and the damage in the Bahamas will be absolute."
\u201cHurricane #Dorian is now tied with the 1935 Labor Day hurricane for the strongest landfall (by windspeed) in Atlantic basin history.\n\nThis is a historic hurricane, and the damage in the Bahamas will be absolute.\u201d— Eric Holthaus (@Eric Holthaus) 1567360483
In a series of tweets Sunday, Bill McKibben, co-founder of the environmental advocacy group 350.org, pointed out that this is the fourth consecutive year that the Atlantic has seen a category 5 hurricane and wrote that "people are going to need to rally to the relief of what must be devastated islands."
\u201c#Dorian is now one of the five strongest storms ever recorded in the Atlantic. And it's the 4th year in a row with a Category 5 storm, again breaking a record. #hotnewworld\nhttps://t.co/EBqhE28vNO\u201d— Bill McKibben (@Bill McKibben) 1567354253
\u201cAs #Dorian crashed into the Bahamas, its winds were 185 mph gusting to 220 mph, making it the strongest landfalling Atlantic hurricane ever recorded. People are going to need to rally to the relief of what must be devastated islands\nhttps://t.co/liMq3gw0hO\u201d— Bill McKibben (@Bill McKibben) 1567361171
The Weather Channel, which McKibben cited, explained that "category 5 hurricanes are rare and have maximum sustained winds 157 mph or greater. They can unleash devastating winds and catastrophic storm surge when they strike land."
The National Hurricane Center continued to issue advisories about Dorian's severity for residents of the Bahamas throughout the afternoon Sunday. Warning of "storm surge 18 to 23 feet above normal tide levels with higher destructive wave," the center said in one update: "This is a life-threatening situation. Residents in the Abacos should stay in their shelter. Do not venture out into the eye if it passes over your location."
\u201cIMPORTANT: We have seen videos in the Abacos of people venturing out in the eye of #Dorian. Everyone should take shelter immediately as winds will increase rapidly and unpredictably after the eye passes.\u201d— National Hurricane Center (@National Hurricane Center) 1567361772
Videos of conditions in the Bahamas began circulating online Sunday afternoon--along with warnings from experts that such devastation from natural disasters will continue to worsen as long as humanity continues to fuel the global climate crisis with activities that produce planet-heating emissions:
\u201c\ud83c\udf2a \n\nFirst videos coming in from Bahamas after Dorian passed through and it's complete devastation.\n\nIf we continue to increase our emissions of greenhouse gasses, these kind of damages will also increase.\n\n#HurricaneDorian #Dorian #bahamas @WPLGLocal10 \n\nhttps://t.co/OYxo4pNeNX\u201d— Alexander Verbeek \ud83c\udf0d (@Alexander Verbeek \ud83c\udf0d) 1567367687
\u201c#Dorian is near perfect from a meteorological perspective, horrific from a threat perspective. And undoubtedly fueled by bathtub-warm sea surface temperatures tied to human-caused climate change.\u201d— Prof Michael E. Mann (@Prof Michael E. Mann) 1567362710
\u201cBACKGROUNDER: Dorian moved through very warm ocean waters (86\u00b0F/30\u00b0C) this week, meaning there was plenty of energy to fuel its intensification. Full climate change context here: https://t.co/u49EAFgxKs\u201d— Climate Signals (@Climate Signals) 1567360652
Bahamas "Prime Minister Hubert Minnis said Saturday that 73,000 residents and 21,000 homes would be affected by the storm," The New York Times reported.
Louby Georges, director of international affairs for Human Rights Bahamas, said people on Great Abaco Island, in the direct path of the eye, were growing desperate as the storm bore down on them.
"People are sending voice notes, people are crying," he said. "You can hear people hollering in the background."
He said the shelters on the island were full and that many poorer residents had taken refuge in churches in Marsh Harbour. But he was worried that the churches, which were not on official lists of shelters to receive food and water, may run out of supplies.
"My guy at St. Francis Church said there is no drinking water," Mr. Georges said in a telephone interview from Nassau, the capital. "There are no trained emergency personnel with them."
In an advisory Sunday afternoon, the National Hurricane Center said that on its current track, "the core of extremely dangerous Hurricane Dorian will continue to pound Great Abaco today and the move near or over Grand Bahama Island tonight and Monday. The hurricane should move closer to the Florida east coast late Monday through Tuesday night."
The Associated Press detailed "Hurricane Dorian's slow dance with the coast" of Florida in a report Sunday.
The National Hurricane Center forecasts Dorian to be 40 to 50 miles off the Florida coast on Tuesday and Wednesday, with hurricane-force wind speeds extending about 35 miles to the west.
But that's just one point that forecasters have to choose to place the monstrous storm that packed 185 mph winds on Sunday. It could be within 100 miles of that point, which is why the hurricane center uses--and emphasizes--a shaded cone of uncertainty.
And much of the Florida coast is inside that cone.
As the center's director, Ken Graham, told the AP, "The cone is so important." Graham explained that with each new forecast, "we keep nudging [Dorian's track] a little bit to the left," toward the U.S. coastline.
\u201cSeems that record-strong #HurricaneDorian's slow but potentially destructive dance with US coast will be cutting it so close that Florida's fate may come down to only a handful of miles. https://t.co/1qfUTLjLj9\u201d— @borenbears (@@borenbears) 1567362910
Early Sunday evening, the Miami-based National Hurricane Center issued its first hurricane warning and watch for Florida. The warning "covers an area from Jupiter Inlet to the Volusia/Brevard County line," while the watch covers "from Voluisa/Brevard Countyline to the Flagler-Volusia county line," according to the AP.
\u201cHURRICANE WARNING ISSUED: From Jupiter, Inlet Florida to the Brevard/Volusia County, Florida Line. HURRICANE WATCH ISSUED: For Volusia County. For more details see https://t.co/tW4KeFW0gB and refer to your local emergency management. #Dorian\u201d— National Hurricane Center (@National Hurricane Center) 1567371662
The "historic, catastrophic" category 5 Hurricane Dorian hit the Bahamas Sunday--eliciting a slew of urgent public safety warnings, concerns about what's in store for the Southeastern coast of the United States next week, and impassioned demands for ambitious government action to combat the global climate emergency.
Dorian made landfall at Elbow Cay, Abacos in the Bahamas early Sunday afternoon with maximum sustained winds of 185 mph and gusts over 220 mph, according to the U.S. National Hurricane Center. The eye of the hurricane made a second landfall on Great Abaco Island near Marsh Harbor later in the afternoon, with the same sustained windspeed. The center noted in an update on Twitter that "this is tied for the strongest Atlantic hurricane landfall on record with the 1935 Labor Day hurricane."
Acknowledging Dorian's significant windspeed Sunday, meteorologist and science writer Eric Holthaus tweeted, "This is a historic hurricane, and the damage in the Bahamas will be absolute."
\u201cHurricane #Dorian is now tied with the 1935 Labor Day hurricane for the strongest landfall (by windspeed) in Atlantic basin history.\n\nThis is a historic hurricane, and the damage in the Bahamas will be absolute.\u201d— Eric Holthaus (@Eric Holthaus) 1567360483
In a series of tweets Sunday, Bill McKibben, co-founder of the environmental advocacy group 350.org, pointed out that this is the fourth consecutive year that the Atlantic has seen a category 5 hurricane and wrote that "people are going to need to rally to the relief of what must be devastated islands."
\u201c#Dorian is now one of the five strongest storms ever recorded in the Atlantic. And it's the 4th year in a row with a Category 5 storm, again breaking a record. #hotnewworld\nhttps://t.co/EBqhE28vNO\u201d— Bill McKibben (@Bill McKibben) 1567354253
\u201cAs #Dorian crashed into the Bahamas, its winds were 185 mph gusting to 220 mph, making it the strongest landfalling Atlantic hurricane ever recorded. People are going to need to rally to the relief of what must be devastated islands\nhttps://t.co/liMq3gw0hO\u201d— Bill McKibben (@Bill McKibben) 1567361171
The Weather Channel, which McKibben cited, explained that "category 5 hurricanes are rare and have maximum sustained winds 157 mph or greater. They can unleash devastating winds and catastrophic storm surge when they strike land."
The National Hurricane Center continued to issue advisories about Dorian's severity for residents of the Bahamas throughout the afternoon Sunday. Warning of "storm surge 18 to 23 feet above normal tide levels with higher destructive wave," the center said in one update: "This is a life-threatening situation. Residents in the Abacos should stay in their shelter. Do not venture out into the eye if it passes over your location."
\u201cIMPORTANT: We have seen videos in the Abacos of people venturing out in the eye of #Dorian. Everyone should take shelter immediately as winds will increase rapidly and unpredictably after the eye passes.\u201d— National Hurricane Center (@National Hurricane Center) 1567361772
Videos of conditions in the Bahamas began circulating online Sunday afternoon--along with warnings from experts that such devastation from natural disasters will continue to worsen as long as humanity continues to fuel the global climate crisis with activities that produce planet-heating emissions:
\u201c\ud83c\udf2a \n\nFirst videos coming in from Bahamas after Dorian passed through and it's complete devastation.\n\nIf we continue to increase our emissions of greenhouse gasses, these kind of damages will also increase.\n\n#HurricaneDorian #Dorian #bahamas @WPLGLocal10 \n\nhttps://t.co/OYxo4pNeNX\u201d— Alexander Verbeek \ud83c\udf0d (@Alexander Verbeek \ud83c\udf0d) 1567367687
\u201c#Dorian is near perfect from a meteorological perspective, horrific from a threat perspective. And undoubtedly fueled by bathtub-warm sea surface temperatures tied to human-caused climate change.\u201d— Prof Michael E. Mann (@Prof Michael E. Mann) 1567362710
\u201cBACKGROUNDER: Dorian moved through very warm ocean waters (86\u00b0F/30\u00b0C) this week, meaning there was plenty of energy to fuel its intensification. Full climate change context here: https://t.co/u49EAFgxKs\u201d— Climate Signals (@Climate Signals) 1567360652
Bahamas "Prime Minister Hubert Minnis said Saturday that 73,000 residents and 21,000 homes would be affected by the storm," The New York Times reported.
Louby Georges, director of international affairs for Human Rights Bahamas, said people on Great Abaco Island, in the direct path of the eye, were growing desperate as the storm bore down on them.
"People are sending voice notes, people are crying," he said. "You can hear people hollering in the background."
He said the shelters on the island were full and that many poorer residents had taken refuge in churches in Marsh Harbour. But he was worried that the churches, which were not on official lists of shelters to receive food and water, may run out of supplies.
"My guy at St. Francis Church said there is no drinking water," Mr. Georges said in a telephone interview from Nassau, the capital. "There are no trained emergency personnel with them."
In an advisory Sunday afternoon, the National Hurricane Center said that on its current track, "the core of extremely dangerous Hurricane Dorian will continue to pound Great Abaco today and the move near or over Grand Bahama Island tonight and Monday. The hurricane should move closer to the Florida east coast late Monday through Tuesday night."
The Associated Press detailed "Hurricane Dorian's slow dance with the coast" of Florida in a report Sunday.
The National Hurricane Center forecasts Dorian to be 40 to 50 miles off the Florida coast on Tuesday and Wednesday, with hurricane-force wind speeds extending about 35 miles to the west.
But that's just one point that forecasters have to choose to place the monstrous storm that packed 185 mph winds on Sunday. It could be within 100 miles of that point, which is why the hurricane center uses--and emphasizes--a shaded cone of uncertainty.
And much of the Florida coast is inside that cone.
As the center's director, Ken Graham, told the AP, "The cone is so important." Graham explained that with each new forecast, "we keep nudging [Dorian's track] a little bit to the left," toward the U.S. coastline.
\u201cSeems that record-strong #HurricaneDorian's slow but potentially destructive dance with US coast will be cutting it so close that Florida's fate may come down to only a handful of miles. https://t.co/1qfUTLjLj9\u201d— @borenbears (@@borenbears) 1567362910
Early Sunday evening, the Miami-based National Hurricane Center issued its first hurricane warning and watch for Florida. The warning "covers an area from Jupiter Inlet to the Volusia/Brevard County line," while the watch covers "from Voluisa/Brevard Countyline to the Flagler-Volusia county line," according to the AP.
\u201cHURRICANE WARNING ISSUED: From Jupiter, Inlet Florida to the Brevard/Volusia County, Florida Line. HURRICANE WATCH ISSUED: For Volusia County. For more details see https://t.co/tW4KeFW0gB and refer to your local emergency management. #Dorian\u201d— National Hurricane Center (@National Hurricane Center) 1567371662

