

SUBSCRIBE TO OUR FREE NEWSLETTER
Daily news & progressive opinion—funded by the people, not the corporations—delivered straight to your inbox.
5
#000000
#FFFFFF
To donate by check, phone, or other method, see our More Ways to Give page.


Daily news & progressive opinion—funded by the people, not the corporations—delivered straight to your inbox.
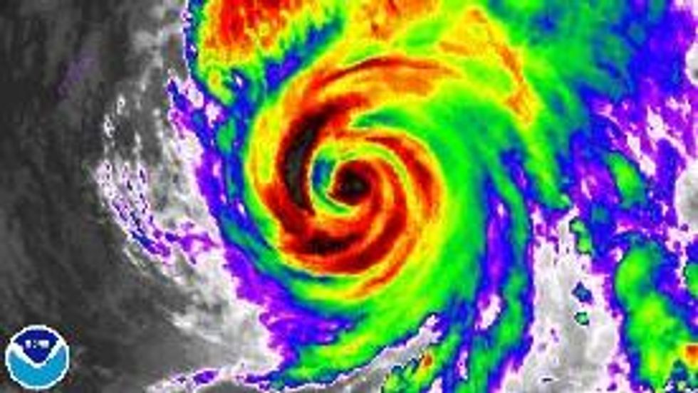
Japan is bracing for Typhoon Wipha's landfall on Wednesday, a storm that could be the strongest in a decade to hit Tokyo, and one that has the potential to bring flooding to the Fukushima nuclear power plant.

Heavy rains and damaging winds that could lead to power outages are expected along the country's east coast. The storm was weakening across the Pacific, but was still bringing winds gusts of up to 120 mph.
The center of the storm could be close to Tokyo, and "If its center passes just west of Tokyo, a large storm surge would affect the city of more than 35 million people and potentially bring major flooding," the Washington Post reports.
Reuters reports that Wipha "is expected to sweep through northern Japan after making landfall and to pass near the crippled Fukushima nuclear power plant, on the coast 220 km (130 miles) northeast of Tokyo, later on Wednesday."
Meteorologist Jeff Masters of Weather Underground warns that
Heavy rains from Wipha may be a concern for the Fukushima nuclear site, where rainfall from Typhoon Man-Yi on September 16 complicated clean-up efforts of the reactors damaged by the March 2011 earthquake and tsunami.
The heavy rainwater risk to Fukushima is echoed by meteorologist Eric Holthaus, who writes:
Some weather models predict heavy rains in excess of five inches (125 mm) to fall over the next 12 hours--a true deluge. However, unlike during Man-yi in September, the closer approach of the more intense Wipha could lead to strong winds, as well. The JMA gave a greater than 90% chance of winds in excess of 55 mph (90 kph) in Tokyo and along the coast of Fukushima for the next 12 hours.
Workers at the Fukushima plant have taken extra measures in preparation for the coming typhoon, according to plant operator TEPCO, getting new storage tanks ready for rising water levels and to prevent leakage of stored radioactive water.
* * *
___________________
Dear Common Dreams reader, It’s been nearly 30 years since I co-founded Common Dreams with my late wife, Lina Newhouser. We had the radical notion that journalism should serve the public good, not corporate profits. It was clear to us from the outset what it would take to build such a project. No paid advertisements. No corporate sponsors. No millionaire publisher telling us what to think or do. Many people said we wouldn't last a year, but we proved those doubters wrong. Together with a tremendous team of journalists and dedicated staff, we built an independent media outlet free from the constraints of profits and corporate control. Our mission has always been simple: To inform. To inspire. To ignite change for the common good. Building Common Dreams was not easy. Our survival was never guaranteed. When you take on the most powerful forces—Wall Street greed, fossil fuel industry destruction, Big Tech lobbyists, and uber-rich oligarchs who have spent billions upon billions rigging the economy and democracy in their favor—the only bulwark you have is supporters who believe in your work. But here’s the urgent message from me today. It's never been this bad out there. And it's never been this hard to keep us going. At the very moment Common Dreams is most needed, the threats we face are intensifying. We need your support now more than ever. We don't accept corporate advertising and never will. We don't have a paywall because we don't think people should be blocked from critical news based on their ability to pay. Everything we do is funded by the donations of readers like you. When everyone does the little they can afford, we are strong. But if that support retreats or dries up, so do we. Will you donate now to make sure Common Dreams not only survives but thrives? —Craig Brown, Co-founder |
Japan is bracing for Typhoon Wipha's landfall on Wednesday, a storm that could be the strongest in a decade to hit Tokyo, and one that has the potential to bring flooding to the Fukushima nuclear power plant.

Heavy rains and damaging winds that could lead to power outages are expected along the country's east coast. The storm was weakening across the Pacific, but was still bringing winds gusts of up to 120 mph.
The center of the storm could be close to Tokyo, and "If its center passes just west of Tokyo, a large storm surge would affect the city of more than 35 million people and potentially bring major flooding," the Washington Post reports.
Reuters reports that Wipha "is expected to sweep through northern Japan after making landfall and to pass near the crippled Fukushima nuclear power plant, on the coast 220 km (130 miles) northeast of Tokyo, later on Wednesday."
Meteorologist Jeff Masters of Weather Underground warns that
Heavy rains from Wipha may be a concern for the Fukushima nuclear site, where rainfall from Typhoon Man-Yi on September 16 complicated clean-up efforts of the reactors damaged by the March 2011 earthquake and tsunami.
The heavy rainwater risk to Fukushima is echoed by meteorologist Eric Holthaus, who writes:
Some weather models predict heavy rains in excess of five inches (125 mm) to fall over the next 12 hours--a true deluge. However, unlike during Man-yi in September, the closer approach of the more intense Wipha could lead to strong winds, as well. The JMA gave a greater than 90% chance of winds in excess of 55 mph (90 kph) in Tokyo and along the coast of Fukushima for the next 12 hours.
Workers at the Fukushima plant have taken extra measures in preparation for the coming typhoon, according to plant operator TEPCO, getting new storage tanks ready for rising water levels and to prevent leakage of stored radioactive water.
* * *
___________________
Japan is bracing for Typhoon Wipha's landfall on Wednesday, a storm that could be the strongest in a decade to hit Tokyo, and one that has the potential to bring flooding to the Fukushima nuclear power plant.

Heavy rains and damaging winds that could lead to power outages are expected along the country's east coast. The storm was weakening across the Pacific, but was still bringing winds gusts of up to 120 mph.
The center of the storm could be close to Tokyo, and "If its center passes just west of Tokyo, a large storm surge would affect the city of more than 35 million people and potentially bring major flooding," the Washington Post reports.
Reuters reports that Wipha "is expected to sweep through northern Japan after making landfall and to pass near the crippled Fukushima nuclear power plant, on the coast 220 km (130 miles) northeast of Tokyo, later on Wednesday."
Meteorologist Jeff Masters of Weather Underground warns that
Heavy rains from Wipha may be a concern for the Fukushima nuclear site, where rainfall from Typhoon Man-Yi on September 16 complicated clean-up efforts of the reactors damaged by the March 2011 earthquake and tsunami.
The heavy rainwater risk to Fukushima is echoed by meteorologist Eric Holthaus, who writes:
Some weather models predict heavy rains in excess of five inches (125 mm) to fall over the next 12 hours--a true deluge. However, unlike during Man-yi in September, the closer approach of the more intense Wipha could lead to strong winds, as well. The JMA gave a greater than 90% chance of winds in excess of 55 mph (90 kph) in Tokyo and along the coast of Fukushima for the next 12 hours.
Workers at the Fukushima plant have taken extra measures in preparation for the coming typhoon, according to plant operator TEPCO, getting new storage tanks ready for rising water levels and to prevent leakage of stored radioactive water.
* * *
___________________