

SUBSCRIBE TO OUR FREE NEWSLETTER
Daily news & progressive opinion—funded by the people, not the corporations—delivered straight to your inbox.
5
#000000
#FFFFFF
To donate by check, phone, or other method, see our More Ways to Give page.


Daily news & progressive opinion—funded by the people, not the corporations—delivered straight to your inbox.

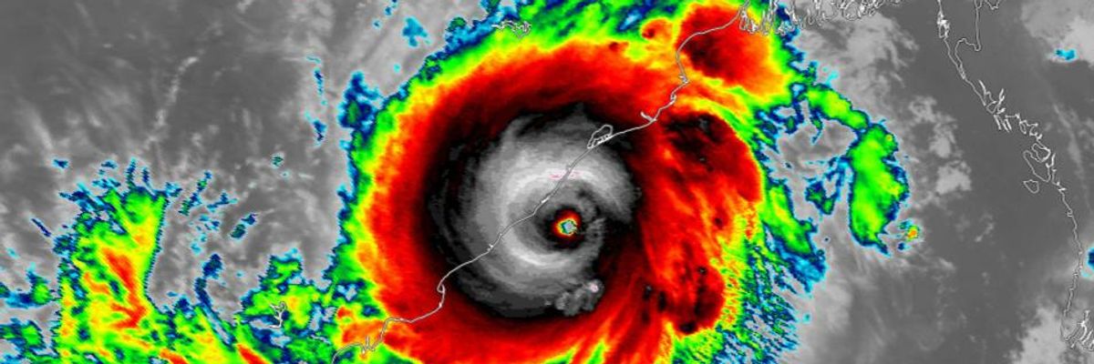
Cyclone Fani made landfall in India on Friday amid warnings of destructive wind, rain, and storm surges.
A storm that meteorologist Eric Holthaus characterized as "one of the strongest" cyclones in India's recorded history made landfall on Friday amid warnings of "potentially catastrophic" wind, rain, and ocean surges.
Over a million people were reportedly forced to evacuate Thursday as Cyclone Fani--classified as the equivalent of a Category 4 hurricane--hurtled toward India. Tens of millions of people are in the path of the massive storm.
"Meteorologists are calling the storm a near-worst-case scenario for coastal zones, as it will push an enormous storm surge inland, inundating homes, roads, and businesses near sea level--not just in eastern India but potentially also north into Bangladesh," the Washington Post reported. "This low-lying stretch of coast along the Bay of Bengal is one of the most vulnerable to storm surge in the world."
\u201cUPDATE: Cyclone #Fani is making landfall right now near Puri, India as a Category 4 -- one of the strongest landfalling cyclones in the country's recorded history.\u201d— Eric Holthaus (@Eric Holthaus) 1556846956
\u201cCyclone Fani makes landfall on India's eastern coast, lashing emptied beaches with rain and wind gusting up to 127 miles per hour. https://t.co/NGIOVqrbHd\u201d— ABC News (@ABC News) 1556877243
this is something scary effect of fani...
stey safe averyone #Odisha #CycloneFani pic.twitter.com/13XE8kHM8p-- lipun_12o8 (@Iamlipunk) May 3, 2019
Bishnupada Sethi, special relief commissioner for the Indian state of Odisha, told Al Jazeera that at least two people have died since the storm made landfall Friday.
Oxfam India, which is helping deliver emergency relief in response to Cyclone Fani, said the storm has already "wreaked havoc in the state of Odisha."
"Heavy rainfall and high-speed winds have destroyed livelihoods leaving families in urgent need of help," the group wrote. "They are in urgent need of safe drinking water, medical and hygiene supplies, food, and long-term recovery and rehabilitation support to cope with the disaster."
Bimal Pandia, an officer with Oxfam, told The Guardian Friday morning that the storm is "quite serious now; the wind is blowing at between 120 and 150km/hour."
Many trees have been uprooted outside our house," Pandia said, "but since we are not able to venture outside it's difficult to tell the damage."
Dear Common Dreams reader, The U.S. is on a fast track to authoritarianism like nothing I've ever seen. Meanwhile, corporate news outlets are utterly capitulating to Trump, twisting their coverage to avoid drawing his ire while lining up to stuff cash in his pockets. That's why I believe that Common Dreams is doing the best and most consequential reporting that we've ever done. Our small but mighty team is a progressive reporting powerhouse, covering the news every day that the corporate media never will. Our mission has always been simple: To inform. To inspire. And to ignite change for the common good. Now here's the key piece that I want all our readers to understand: None of this would be possible without your financial support. That's not just some fundraising cliche. It's the absolute and literal truth. We don't accept corporate advertising and never will. We don't have a paywall because we don't think people should be blocked from critical news based on their ability to pay. Everything we do is funded by the donations of readers like you. Will you donate now to help power the nonprofit, independent reporting of Common Dreams? Thank you for being a vital member of our community. Together, we can keep independent journalism alive when it’s needed most. - Craig Brown, Co-founder |
A storm that meteorologist Eric Holthaus characterized as "one of the strongest" cyclones in India's recorded history made landfall on Friday amid warnings of "potentially catastrophic" wind, rain, and ocean surges.
Over a million people were reportedly forced to evacuate Thursday as Cyclone Fani--classified as the equivalent of a Category 4 hurricane--hurtled toward India. Tens of millions of people are in the path of the massive storm.
"Meteorologists are calling the storm a near-worst-case scenario for coastal zones, as it will push an enormous storm surge inland, inundating homes, roads, and businesses near sea level--not just in eastern India but potentially also north into Bangladesh," the Washington Post reported. "This low-lying stretch of coast along the Bay of Bengal is one of the most vulnerable to storm surge in the world."
\u201cUPDATE: Cyclone #Fani is making landfall right now near Puri, India as a Category 4 -- one of the strongest landfalling cyclones in the country's recorded history.\u201d— Eric Holthaus (@Eric Holthaus) 1556846956
\u201cCyclone Fani makes landfall on India's eastern coast, lashing emptied beaches with rain and wind gusting up to 127 miles per hour. https://t.co/NGIOVqrbHd\u201d— ABC News (@ABC News) 1556877243
this is something scary effect of fani...
stey safe averyone #Odisha #CycloneFani pic.twitter.com/13XE8kHM8p-- lipun_12o8 (@Iamlipunk) May 3, 2019
Bishnupada Sethi, special relief commissioner for the Indian state of Odisha, told Al Jazeera that at least two people have died since the storm made landfall Friday.
Oxfam India, which is helping deliver emergency relief in response to Cyclone Fani, said the storm has already "wreaked havoc in the state of Odisha."
"Heavy rainfall and high-speed winds have destroyed livelihoods leaving families in urgent need of help," the group wrote. "They are in urgent need of safe drinking water, medical and hygiene supplies, food, and long-term recovery and rehabilitation support to cope with the disaster."
Bimal Pandia, an officer with Oxfam, told The Guardian Friday morning that the storm is "quite serious now; the wind is blowing at between 120 and 150km/hour."
Many trees have been uprooted outside our house," Pandia said, "but since we are not able to venture outside it's difficult to tell the damage."
A storm that meteorologist Eric Holthaus characterized as "one of the strongest" cyclones in India's recorded history made landfall on Friday amid warnings of "potentially catastrophic" wind, rain, and ocean surges.
Over a million people were reportedly forced to evacuate Thursday as Cyclone Fani--classified as the equivalent of a Category 4 hurricane--hurtled toward India. Tens of millions of people are in the path of the massive storm.
"Meteorologists are calling the storm a near-worst-case scenario for coastal zones, as it will push an enormous storm surge inland, inundating homes, roads, and businesses near sea level--not just in eastern India but potentially also north into Bangladesh," the Washington Post reported. "This low-lying stretch of coast along the Bay of Bengal is one of the most vulnerable to storm surge in the world."
\u201cUPDATE: Cyclone #Fani is making landfall right now near Puri, India as a Category 4 -- one of the strongest landfalling cyclones in the country's recorded history.\u201d— Eric Holthaus (@Eric Holthaus) 1556846956
\u201cCyclone Fani makes landfall on India's eastern coast, lashing emptied beaches with rain and wind gusting up to 127 miles per hour. https://t.co/NGIOVqrbHd\u201d— ABC News (@ABC News) 1556877243
this is something scary effect of fani...
stey safe averyone #Odisha #CycloneFani pic.twitter.com/13XE8kHM8p-- lipun_12o8 (@Iamlipunk) May 3, 2019
Bishnupada Sethi, special relief commissioner for the Indian state of Odisha, told Al Jazeera that at least two people have died since the storm made landfall Friday.
Oxfam India, which is helping deliver emergency relief in response to Cyclone Fani, said the storm has already "wreaked havoc in the state of Odisha."
"Heavy rainfall and high-speed winds have destroyed livelihoods leaving families in urgent need of help," the group wrote. "They are in urgent need of safe drinking water, medical and hygiene supplies, food, and long-term recovery and rehabilitation support to cope with the disaster."
Bimal Pandia, an officer with Oxfam, told The Guardian Friday morning that the storm is "quite serious now; the wind is blowing at between 120 and 150km/hour."
Many trees have been uprooted outside our house," Pandia said, "but since we are not able to venture outside it's difficult to tell the damage."