

SUBSCRIBE TO OUR FREE NEWSLETTER
Daily news & progressive opinion—funded by the people, not the corporations—delivered straight to your inbox.
5
#000000
#FFFFFF
To donate by check, phone, or other method, see our More Ways to Give page.


Daily news & progressive opinion—funded by the people, not the corporations—delivered straight to your inbox.

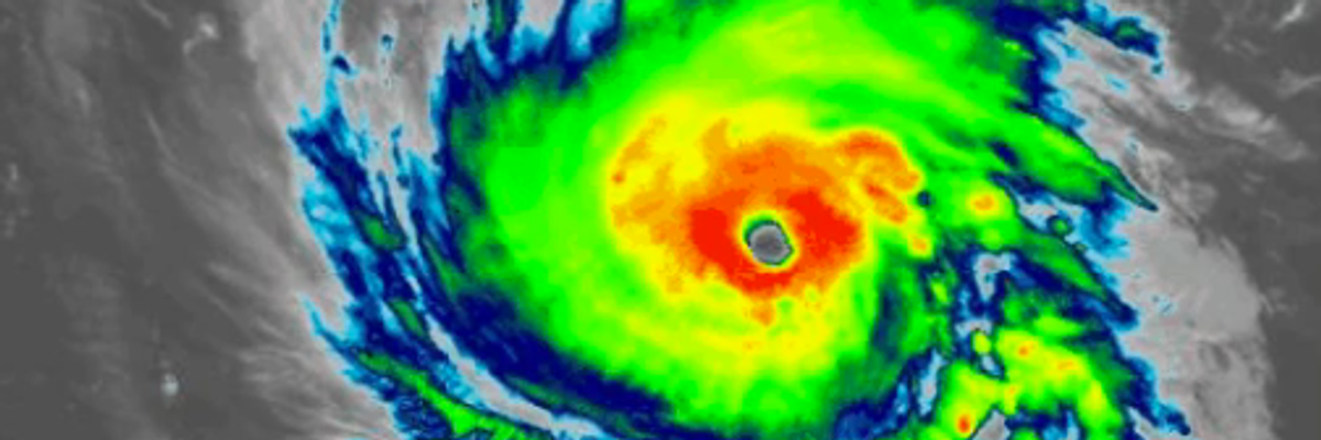
Hurricane Florence is now a Category 4 storm, NOAA's National Hurricane Center announced at noon on Monday. Data from a NOAA Hurricane Hunter indicate that Florence has continued to rapidly strengthen and has maximum sustained winds near 130 mph. (Photo: NOAA)
As Hurricane Florence was officially declared a Category 4 storm on Monday by the National Hurricane Center, weather experts warned people living in vulnerable areas in South Carolina, North Carolina, and Virginia that the intensification should not be ignored and to begin making preparations for what could be a devastating landfall later this week.
According to the noon-time update from the NHC, operated by the National Oceanic and Atmospheric Administration (NOAA), Florence currently has sustained winds of nearly 130 mph and has no become what the agency considers "a major hurricane."
\u201cNEW: Florence is now a category 4 hurricane. Data from a NOAA Hurricane Hunter indicate that Florence has continued to rapidly strengthen and has maximum sustained winds near 130 mph (195 km/h) and a minimum central pressure of 946 mb (27.93 inches) https://t.co/tW4KeGdBFb\u201d— National Hurricane Center (@National Hurricane Center) 1536595324
Though no coastal advisories are yet in place, the update said that those warnings would likely be forthcoming. Now tracking in the Atlantic Ocean southeast of the U.S. mainland, "A turn toward the northwest is forecast to occur late Wednesday night," the latest NHC dispatch stated. "On the forecast track, the center of Florence will move over the southwestern Atlantic Ocean between Bermuda and the Bahamas Tuesday and Wednesday, and approach the coast of South Carolina or North Carolina on Thursday."
\u201cHoly... Florence is a beast.\u201d— Dakota Smith (@Dakota Smith) 1536598755
In response to the upgrade, meteorologists and weather-trackers warned people to pay attention to future developments.
\u201cA Life-threatening storm surge is becoming more likely along the coastline of South Carolina, North Carolina, and Virginia, and a Storm Surge Watch will likely be issued for portions of these areas by Tuesday morning.\u201d— NHC Storm Surge (@NHC Storm Surge) 1536590776
"Folks, if you are in the Carolinas or Virginia -- this is a historic storm," declared Eric Holthaus, meteorologist and journalist who writes about extreme weather and climate change for Grist. "Take every available precaution. Help your neighbors. Do not underestimate this hurricane."
And Holthaus warned that Florence could well turn into a Category 5:
\u201cthose last few frames tho...\n\nHurricane #Florence making a run at Category 5 right now.\u201d— Eric Holthaus (@Eric Holthaus) 1536597224
\u201cThe pressure at the center of #HurricaneFlorence dropped 40 millibars in the last 24 hours. That's...a lot, very fast. Now is the time for those of us outside the danger area to be marshaling the resources and aid people in the Carolinas are going to require\u201d— Bill McKibben (@Bill McKibben) 1536596213
Dear Common Dreams reader, The U.S. is on a fast track to authoritarianism like nothing I've ever seen. Meanwhile, corporate news outlets are utterly capitulating to Trump, twisting their coverage to avoid drawing his ire while lining up to stuff cash in his pockets. That's why I believe that Common Dreams is doing the best and most consequential reporting that we've ever done. Our small but mighty team is a progressive reporting powerhouse, covering the news every day that the corporate media never will. Our mission has always been simple: To inform. To inspire. And to ignite change for the common good. Now here's the key piece that I want all our readers to understand: None of this would be possible without your financial support. That's not just some fundraising cliche. It's the absolute and literal truth. We don't accept corporate advertising and never will. We don't have a paywall because we don't think people should be blocked from critical news based on their ability to pay. Everything we do is funded by the donations of readers like you. Will you donate now to help power the nonprofit, independent reporting of Common Dreams? Thank you for being a vital member of our community. Together, we can keep independent journalism alive when it’s needed most. - Craig Brown, Co-founder |
As Hurricane Florence was officially declared a Category 4 storm on Monday by the National Hurricane Center, weather experts warned people living in vulnerable areas in South Carolina, North Carolina, and Virginia that the intensification should not be ignored and to begin making preparations for what could be a devastating landfall later this week.
According to the noon-time update from the NHC, operated by the National Oceanic and Atmospheric Administration (NOAA), Florence currently has sustained winds of nearly 130 mph and has no become what the agency considers "a major hurricane."
\u201cNEW: Florence is now a category 4 hurricane. Data from a NOAA Hurricane Hunter indicate that Florence has continued to rapidly strengthen and has maximum sustained winds near 130 mph (195 km/h) and a minimum central pressure of 946 mb (27.93 inches) https://t.co/tW4KeGdBFb\u201d— National Hurricane Center (@National Hurricane Center) 1536595324
Though no coastal advisories are yet in place, the update said that those warnings would likely be forthcoming. Now tracking in the Atlantic Ocean southeast of the U.S. mainland, "A turn toward the northwest is forecast to occur late Wednesday night," the latest NHC dispatch stated. "On the forecast track, the center of Florence will move over the southwestern Atlantic Ocean between Bermuda and the Bahamas Tuesday and Wednesday, and approach the coast of South Carolina or North Carolina on Thursday."
\u201cHoly... Florence is a beast.\u201d— Dakota Smith (@Dakota Smith) 1536598755
In response to the upgrade, meteorologists and weather-trackers warned people to pay attention to future developments.
\u201cA Life-threatening storm surge is becoming more likely along the coastline of South Carolina, North Carolina, and Virginia, and a Storm Surge Watch will likely be issued for portions of these areas by Tuesday morning.\u201d— NHC Storm Surge (@NHC Storm Surge) 1536590776
"Folks, if you are in the Carolinas or Virginia -- this is a historic storm," declared Eric Holthaus, meteorologist and journalist who writes about extreme weather and climate change for Grist. "Take every available precaution. Help your neighbors. Do not underestimate this hurricane."
And Holthaus warned that Florence could well turn into a Category 5:
\u201cthose last few frames tho...\n\nHurricane #Florence making a run at Category 5 right now.\u201d— Eric Holthaus (@Eric Holthaus) 1536597224
\u201cThe pressure at the center of #HurricaneFlorence dropped 40 millibars in the last 24 hours. That's...a lot, very fast. Now is the time for those of us outside the danger area to be marshaling the resources and aid people in the Carolinas are going to require\u201d— Bill McKibben (@Bill McKibben) 1536596213
As Hurricane Florence was officially declared a Category 4 storm on Monday by the National Hurricane Center, weather experts warned people living in vulnerable areas in South Carolina, North Carolina, and Virginia that the intensification should not be ignored and to begin making preparations for what could be a devastating landfall later this week.
According to the noon-time update from the NHC, operated by the National Oceanic and Atmospheric Administration (NOAA), Florence currently has sustained winds of nearly 130 mph and has no become what the agency considers "a major hurricane."
\u201cNEW: Florence is now a category 4 hurricane. Data from a NOAA Hurricane Hunter indicate that Florence has continued to rapidly strengthen and has maximum sustained winds near 130 mph (195 km/h) and a minimum central pressure of 946 mb (27.93 inches) https://t.co/tW4KeGdBFb\u201d— National Hurricane Center (@National Hurricane Center) 1536595324
Though no coastal advisories are yet in place, the update said that those warnings would likely be forthcoming. Now tracking in the Atlantic Ocean southeast of the U.S. mainland, "A turn toward the northwest is forecast to occur late Wednesday night," the latest NHC dispatch stated. "On the forecast track, the center of Florence will move over the southwestern Atlantic Ocean between Bermuda and the Bahamas Tuesday and Wednesday, and approach the coast of South Carolina or North Carolina on Thursday."
\u201cHoly... Florence is a beast.\u201d— Dakota Smith (@Dakota Smith) 1536598755
In response to the upgrade, meteorologists and weather-trackers warned people to pay attention to future developments.
\u201cA Life-threatening storm surge is becoming more likely along the coastline of South Carolina, North Carolina, and Virginia, and a Storm Surge Watch will likely be issued for portions of these areas by Tuesday morning.\u201d— NHC Storm Surge (@NHC Storm Surge) 1536590776
"Folks, if you are in the Carolinas or Virginia -- this is a historic storm," declared Eric Holthaus, meteorologist and journalist who writes about extreme weather and climate change for Grist. "Take every available precaution. Help your neighbors. Do not underestimate this hurricane."
And Holthaus warned that Florence could well turn into a Category 5:
\u201cthose last few frames tho...\n\nHurricane #Florence making a run at Category 5 right now.\u201d— Eric Holthaus (@Eric Holthaus) 1536597224
\u201cThe pressure at the center of #HurricaneFlorence dropped 40 millibars in the last 24 hours. That's...a lot, very fast. Now is the time for those of us outside the danger area to be marshaling the resources and aid people in the Carolinas are going to require\u201d— Bill McKibben (@Bill McKibben) 1536596213