

SUBSCRIBE TO OUR FREE NEWSLETTER
Daily news & progressive opinion—funded by the people, not the corporations—delivered straight to your inbox.
5
#000000
#FFFFFF
To donate by check, phone, or other method, see our More Ways to Give page.


Daily news & progressive opinion—funded by the people, not the corporations—delivered straight to your inbox.
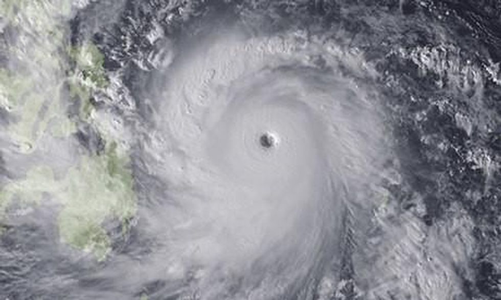
With thousands of families evacuating their homes after the second cyclone to strike India's east coast in six weeks, the latest international climate talks concluded with little progress in Warsaw.
With thousands of families evacuating their homes after the second cyclone to strike India's east coast in six weeks, the latest international climate talks concluded with little progress in Warsaw. The serial extreme whether events--from Cyclone Helen this week in the Bay of Bengal to last month's Cyclone Phailin and the deadly flooding in Uttarakhand earlier this summer, as well as Typhoon Haiyan in the Philippines - are sending a clear message to global leaders that they must act quickly to fight climate change.

As my colleague Jake Schmidt summarized at the close of the meetings in Warsaw, the world's policy-makers need to focus their efforts on a strong international agreement. If they show up empty-handed at the next set of climate talks in Paris 2015, they'll be known as the generation that failed against climate change. When world leaders convene next year, they need to further commit to reducing emissions in their own nations, as well as to financially supporting climate progress in developing countries. We urge governments and industry will agree to new actions at the September Summit hosted by Ban Ki-Moon.
India, domestically, is taking action to protect its communities, to build a clean economy that moves away from fossil fuels, and to fight climate change, as highlighted in our updated fact sheet, India: Addressing Climate Change and Moving Toward a Low-Carbon Future. For example, India has installed over 2 gigawatts of solar power since 2011 and has a robust wind energy market. Several Indian states are moving ahead with energy efficiency building codes and standards are being set for energy-guzzling appliances, like air-conditioners and lighting. Reports from the UN Intergovernmental Panel on Climate Change (IPCC) and the World Bank continue to emphasize the fact that India is severely vulnerable to climate change at the peril of both human health and the developing economy. Indian leaders understand that accelerating clean energy is in the interest of creating jobs, saving energy and money, and reducing pollution.
Yet, more needs to be achieved on the domestic front within Indian states and at the national level. As an emerging global leader, India can pivot from its domestic actions to help create an international climate agreement. Leaders from all nations must move away from divisive tactics of inaction and toward pragmatic, incremental and immediate strategies to combat climate change.
The phasedown of hydrofluorocarbons (HFCs) is a key low-hanging fruit in that battle. Questions on these climate-damaging gases came up this week during the climate discussions in Warsaw and were also raised at the Montreal Protocol talks last month in Bangkok. HFCs are the fastest-growing share of greenhouse gas pollutants in the world, often used as refrigerants in room and automobile air conditioners. More than 116 million air conditioning units are forecasted to be in service in India by 2030--more than 20 times the current number--so addressing HFCs presents an immediate business and climate opportunity. There is a strong business case for India and other countries to make a global transition away from HFCs, as discussed in Frequently Asked Questions: Cooling India with Less Warming, developed by NRDC and our partners.
India, as a growing economy, has the opportunity to lead internationally in fighting climate change, while building a clean economy domestically. The trail of destruction from this year's storms and flooding makes it clear now more than ever before that we must move immediately to protect our communities, economies and the planet from climate change's devastating effects.
Dear Common Dreams reader, The U.S. is on a fast track to authoritarianism like nothing I've ever seen. Meanwhile, corporate news outlets are utterly capitulating to Trump, twisting their coverage to avoid drawing his ire while lining up to stuff cash in his pockets. That's why I believe that Common Dreams is doing the best and most consequential reporting that we've ever done. Our small but mighty team is a progressive reporting powerhouse, covering the news every day that the corporate media never will. Our mission has always been simple: To inform. To inspire. And to ignite change for the common good. Now here's the key piece that I want all our readers to understand: None of this would be possible without your financial support. That's not just some fundraising cliche. It's the absolute and literal truth. We don't accept corporate advertising and never will. We don't have a paywall because we don't think people should be blocked from critical news based on their ability to pay. Everything we do is funded by the donations of readers like you. Will you donate now to help power the nonprofit, independent reporting of Common Dreams? Thank you for being a vital member of our community. Together, we can keep independent journalism alive when it’s needed most. - Craig Brown, Co-founder |
With thousands of families evacuating their homes after the second cyclone to strike India's east coast in six weeks, the latest international climate talks concluded with little progress in Warsaw. The serial extreme whether events--from Cyclone Helen this week in the Bay of Bengal to last month's Cyclone Phailin and the deadly flooding in Uttarakhand earlier this summer, as well as Typhoon Haiyan in the Philippines - are sending a clear message to global leaders that they must act quickly to fight climate change.

As my colleague Jake Schmidt summarized at the close of the meetings in Warsaw, the world's policy-makers need to focus their efforts on a strong international agreement. If they show up empty-handed at the next set of climate talks in Paris 2015, they'll be known as the generation that failed against climate change. When world leaders convene next year, they need to further commit to reducing emissions in their own nations, as well as to financially supporting climate progress in developing countries. We urge governments and industry will agree to new actions at the September Summit hosted by Ban Ki-Moon.
India, domestically, is taking action to protect its communities, to build a clean economy that moves away from fossil fuels, and to fight climate change, as highlighted in our updated fact sheet, India: Addressing Climate Change and Moving Toward a Low-Carbon Future. For example, India has installed over 2 gigawatts of solar power since 2011 and has a robust wind energy market. Several Indian states are moving ahead with energy efficiency building codes and standards are being set for energy-guzzling appliances, like air-conditioners and lighting. Reports from the UN Intergovernmental Panel on Climate Change (IPCC) and the World Bank continue to emphasize the fact that India is severely vulnerable to climate change at the peril of both human health and the developing economy. Indian leaders understand that accelerating clean energy is in the interest of creating jobs, saving energy and money, and reducing pollution.
Yet, more needs to be achieved on the domestic front within Indian states and at the national level. As an emerging global leader, India can pivot from its domestic actions to help create an international climate agreement. Leaders from all nations must move away from divisive tactics of inaction and toward pragmatic, incremental and immediate strategies to combat climate change.
The phasedown of hydrofluorocarbons (HFCs) is a key low-hanging fruit in that battle. Questions on these climate-damaging gases came up this week during the climate discussions in Warsaw and were also raised at the Montreal Protocol talks last month in Bangkok. HFCs are the fastest-growing share of greenhouse gas pollutants in the world, often used as refrigerants in room and automobile air conditioners. More than 116 million air conditioning units are forecasted to be in service in India by 2030--more than 20 times the current number--so addressing HFCs presents an immediate business and climate opportunity. There is a strong business case for India and other countries to make a global transition away from HFCs, as discussed in Frequently Asked Questions: Cooling India with Less Warming, developed by NRDC and our partners.
India, as a growing economy, has the opportunity to lead internationally in fighting climate change, while building a clean economy domestically. The trail of destruction from this year's storms and flooding makes it clear now more than ever before that we must move immediately to protect our communities, economies and the planet from climate change's devastating effects.
With thousands of families evacuating their homes after the second cyclone to strike India's east coast in six weeks, the latest international climate talks concluded with little progress in Warsaw. The serial extreme whether events--from Cyclone Helen this week in the Bay of Bengal to last month's Cyclone Phailin and the deadly flooding in Uttarakhand earlier this summer, as well as Typhoon Haiyan in the Philippines - are sending a clear message to global leaders that they must act quickly to fight climate change.

As my colleague Jake Schmidt summarized at the close of the meetings in Warsaw, the world's policy-makers need to focus their efforts on a strong international agreement. If they show up empty-handed at the next set of climate talks in Paris 2015, they'll be known as the generation that failed against climate change. When world leaders convene next year, they need to further commit to reducing emissions in their own nations, as well as to financially supporting climate progress in developing countries. We urge governments and industry will agree to new actions at the September Summit hosted by Ban Ki-Moon.
India, domestically, is taking action to protect its communities, to build a clean economy that moves away from fossil fuels, and to fight climate change, as highlighted in our updated fact sheet, India: Addressing Climate Change and Moving Toward a Low-Carbon Future. For example, India has installed over 2 gigawatts of solar power since 2011 and has a robust wind energy market. Several Indian states are moving ahead with energy efficiency building codes and standards are being set for energy-guzzling appliances, like air-conditioners and lighting. Reports from the UN Intergovernmental Panel on Climate Change (IPCC) and the World Bank continue to emphasize the fact that India is severely vulnerable to climate change at the peril of both human health and the developing economy. Indian leaders understand that accelerating clean energy is in the interest of creating jobs, saving energy and money, and reducing pollution.
Yet, more needs to be achieved on the domestic front within Indian states and at the national level. As an emerging global leader, India can pivot from its domestic actions to help create an international climate agreement. Leaders from all nations must move away from divisive tactics of inaction and toward pragmatic, incremental and immediate strategies to combat climate change.
The phasedown of hydrofluorocarbons (HFCs) is a key low-hanging fruit in that battle. Questions on these climate-damaging gases came up this week during the climate discussions in Warsaw and were also raised at the Montreal Protocol talks last month in Bangkok. HFCs are the fastest-growing share of greenhouse gas pollutants in the world, often used as refrigerants in room and automobile air conditioners. More than 116 million air conditioning units are forecasted to be in service in India by 2030--more than 20 times the current number--so addressing HFCs presents an immediate business and climate opportunity. There is a strong business case for India and other countries to make a global transition away from HFCs, as discussed in Frequently Asked Questions: Cooling India with Less Warming, developed by NRDC and our partners.
India, as a growing economy, has the opportunity to lead internationally in fighting climate change, while building a clean economy domestically. The trail of destruction from this year's storms and flooding makes it clear now more than ever before that we must move immediately to protect our communities, economies and the planet from climate change's devastating effects.